Condições climáticas adversas e avanço de pragas nas lavouras preocupam produtores de algodão

Áudio
Download do arquivo abaixo: (ou botão direito em salvar link como)

Foto da manchete: Crop Agrocomunicação

Por Jurandir Antonio – Voz: Yaponira Cavalcanti

Texto do áudio:

 

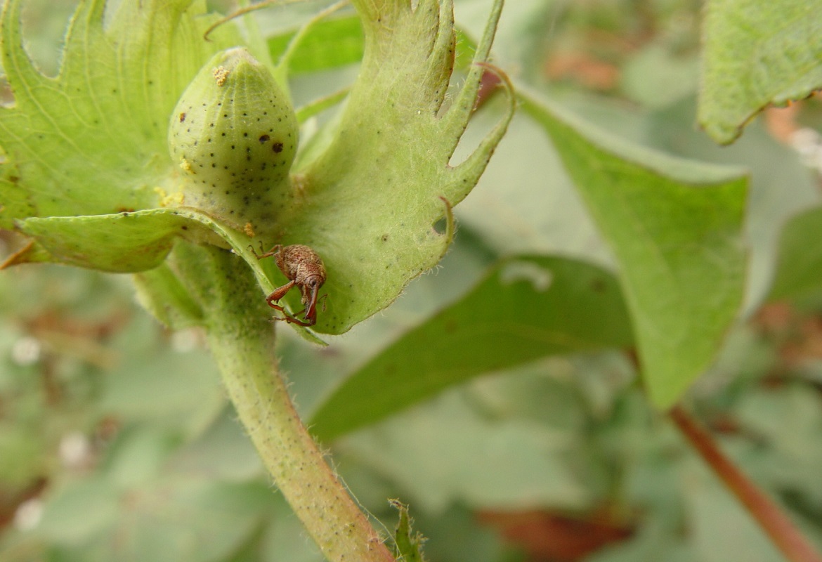
Além das condições climáticas severas, a atual safra de algodão se mostra desafiadora por causa do avanço de pragas nas lavouras.

Não bastasse o aumento da população do conhecido e temido bicudo, os pesquisadores ainda apontam ataques danosos provocados por lagartas e ácaro-rajado.

No monitoramento que verifica a flutuação populacional do bicudo algodoeiro entre uma safra e outra, a temporada 2023/2024 apresentou a pior média em Mato Grosso registrada desde o período de 2012/2013.

Essa situação, considerada grave, foi apresentada aos participantes do painel “Panorama das Pragas na safra 2023/2024”, durante evento técnico realizado pela Fundação Mato Grosso.

O doutor em Entomologia Agrícola e pesquisador do Instituto Mato-Grossense do Algodão, Guilherme Rolim, demonstrou a dinâmica do inseto nos algodoeiros de Mato Grosso.

O especialista reconhece que em cada safra existe um cenário diferente para pragas, especialmente o bicudo, mas alerta para a necessidade de medidas urgentes e preventivas para garantir a sustentabilidade da produção.

O algodão é uma das principais commodities produzidas no Brasil, assim os produtores de Mato Grosso e Bahia, que são os estados com maior produção de pluma, são os que trazem os relatos de maiores desafios com relação a pragas na safra 23/24.

O fenômeno climático El Ninõ, que provocou o registro de temperaturas mais altas e tempo mais secos em várias áreas, colaborou para acelerar o ciclo de vida das pragas.

Por não ter a biotecnologia para controle sobre a população e a difícil identificação dos primeiros focos, o ácaro-rajado se tornou um problema nesta safra, segundo a pesquisadora em entomologia da Fundação Mato Grosso, doutora Lúcia Vivan.